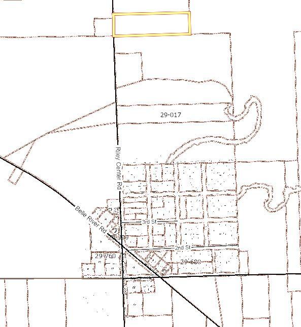
1778 Riley Center Road, Riley township, Michigan

$75,000

Previous Next

4.92

Acres

About 1778 Riley Center Road

Discover 4.92 acres of opportunity on Riley Center Rd, just north of Belle River Rd. This property offers a mix of open space and mature trees, with a history as an orchard and more recently used as a private hunting retreat. A well exists on site (condition unknown). Whether you're looking to build, hunt, or invest, this parcel provides endless potential in a convenient location.

Features of 1778 Riley Center Road

MLS® # 81025050388
Price $75,000
Bathrooms 0.00
Acres 4.92
Type Vacant Land
Status Pending

Community Information

Address 1778 Riley Center Road
Area 10121 - Riley Twp
City Riley township
County St. Clair
State Michigan
Zip Code 48041

Amenities

Is Waterfront No
Has Pool No

Interior

Fireplace No

Exterior

Lot Description Buildable, Other, Wooded

School Information

District Memphis

Additional Information

Foreclosure No
Short Sale No
RE / Bank Owned No

Listing Details

OfficeEpique Realty
Contact Infotravisbremerkamp@gmail.com

Listing Map

Request a Showing

Provide a valid email address.
When would you like to view this property?